Decíamos ayer que la vida en los enclaves de Cooch Bahar no es nada fácil. Las malas relaciones entre los gobiernos de Bangladesh y la India hacen más difícil todavía la ya de por sí complicada situación de los habitantes. En total unas setenta mil personas residen en los enclaves, muchas de las cuales no pueden salir de ellos al carecer de pasaporte. No hay consulados ni oficinas diplomáticas en los enclaves, lo que provoca un caso clásico de círculo vicioso. Un bangladesí residente en un enclave necesita un visado indio para salir de su territorio, visado que únicamente se puede conseguir saliendo del enclave. Los enclaves, en su inmensa mayoría, no están cercados, estando la frontera delimitada únicamente por marcadores de hormigón espaciados unos cuantos cientos o miles de metros entre sí. Las violaciones de la frontera son comunes, casi tanto como los disparos de los guardias fronterizos contra aquellos que salen de sus enclaves.
La mayor parte de estos enclaves carecen de electricidad. Las líneas eléctricas de un país, para acceder a un enclave, tienen que pasar necesariamente por el territorio del país vecino, que no suele dar permiso para la instalación. Tampoco hay colegios (muchas veces porque, sencillamente, no hay sitio), hospitales, mercados o agua corriente, lo que ha provocado que mucha gente emigre hacia la parte principal del territorio de su país (cruzando ilegalmente el territorio circundante).
La soberanía de ambos países sobre sus respectivos enclaves es bastante limitada, y se limita a la consideración oficial como territorio propio, amén del reconocimiento de la otra parte. Pero, en la vida real, dicha soberanía es más que cuestionable. En la mayor parte de los enclaves no existe un cuerpo de policía, lo que los convierte en refugio de delincuentes, pues las fuerzas de seguridad de un país no pueden entrar en el territorio del otro, y cada uno de los gobiernos impide el tránsito de fuerzas de seguridad armadas del otro país que pudieran instalarse en los enclaves (además de que el mantenimiento logístico de dichas fuerzas sería completamente imposible). La situación es tolerable únicamente por la existencia de una corrupción generalizada entre los guardas fronterizos (el terreno, desde luego, está abonado para ello), que permiten el tránsito de personas camino de un mercado o un hospital, normalmente a cambio de ciertas comisiones.

Además de no poder administrar los enclaves o garantizar la seguridad de sus habitantes, ambos países se enfrentan a un problema censitario. El último censo de población en los enclaves fue realizado en 1951, cuando Bangladesh era aún Bengala Oriental (antes de que su nombre cambiara a Pakistán Oriental). Más de medio siglo sin censos convierte a la población de los enclaves en una incógnita. Todos los cálculos sobre la población actual se basan en ese censo, pero son una aproximación más bien tosca. Obviamente, al no existir censos, los bangladesíes e indios de los enclaves carecen de derecho al voto, derecho que, de todos modos, no podrían ejercer al no poder acceder las autoridades a los enclaves. Para los estados indio y bangladesí, la gentes de los enclaves son, en palabras de una socióloga de Delhi, «apátridas en tierra de nadie» (nowhere people in no man’s land).
La enorme cantidad de enclaves existentes se presta a la aparición de una infinidad de curiosidades. Por ejemplo, el enclave más pequeño del mundo también se encuentra en Cooch Bahar. Se trata de un metaenclave bangladesí sin nombre, que tiene un área de tan solo 53 m². Conozco locutorios telefónicos más grandes. La más llamativa de las curiosidades es la de uno de los enclaves de Dahala Khagrabari, el ya mencionado único meta-meta enclave del mundo. Rodeado por territorio bangladesí, que a su vez está rodeado por territorio indio, que a su vez se encuentra rodeado por el territorio de Bangladesh, el por qué demonios una cosa así se llegó a hacer realidad es una incógnita. Su tamaño no llega a los 7.000 m², y, curiosamente, es propiedad de un granjero bangladesí que reside justo al lado, en el metaenclave que lo rodea. Ese metaenclave, como el de Debidoba que se muestra en la primera foto de esta entrada, es uno de los tres que hay en el enclave indio, el mayor de todos los del complejo de Cooch Behar.
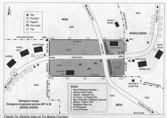
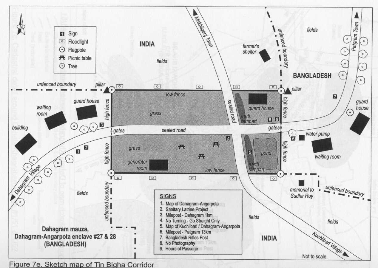
Un caso que sería cómico de no ser tan trágico es el del enclave más grande de Bangladesh, Dahagram-Angarpota (en el mapa, en la zona central, el más grande de los exclaves verdes bangladesíes). El territorio abarca casi 19 km², y su extremo oriental está situado a tan solo 178 metros de la frontera con el país al que pertenece. Durante más de veinte años, intentar salir del enclave conllevaba exponerse a los balazos de los guardas fronterizos indios (y no fueron pocos los que cayeron abatidos en esos míseros 178 metros), hasta que, en 1992, la India y Bangladesh acordaron la cesión a perpetuidad de una pequeña franja de territorio deshabitado de 85 metros de ancho que conectara la parte principal del territorio bangladesí con el enclave (que, formalmente, ya no es tal). A día de hoy a esa franja de terreno se la conoce como el Corredor de Teen Bigha, o de Tin Bigha (teen significa tres en hindú y bigha es una unidad de medida equivalente a unos 1500 metros cuadrados, al menos en esa parte del mundo). El acuerdo que posibilitó la cesión se fraguó en 1974, pero tardó 18 años en ser aplicado, y sufrió además una fortísima oposición por parte de las fuerzas políticas indias, que aún continúa. Además, el enclave sigue sin tener corriente eléctrica debido a la oposición de la India a permitir el acceso de la maquinaria necesaria.
La triste historia de Mohamed Atab Ali, un musulmán residente en el enclave indio de Seortikursha es otra de las muchas que jalonan la intrahistoria de los enclaves. El enclave tiene una extensión de 18 hectáreas (aproximadamente un tercio de la que tiene el Vaticano, por ejemplo), y uno de sus extremos se encuentra a sólo seis metros, seis, de la frontera principal con la India. En 1994 Mohamed concertó el matrimonio de su hija con un jóven indio residente fuera de los enclaves, en el mainland indio. Pero el día de la boda la guardia fronteriza bangladesí interceptó al jóven, por lo que no pudo acceder al enclave, y la chica siguió soltera, hasta hoy.
Historias como esta y peores deberían llevar a una solución, pero la cosa está difícil. En 1974 los gobiernos de la India y Bangladesh alcanzaron un acuerto respecto a los territorios según el cual la mayor parte de los enclaves sería intercambiado y pasarían a depender administrativamente del otro país. El acuerdo no contemplaba, por no liar las cosas, la transferencia de los metaenclaves, que continuarían perteneciendo a su país original, ya despojados de su condición de enclave. Curiosamente, esto dejaría al meta-metaenclave como un enclave indio en territorio bangladesí. Pero el acuerdo, si bien fue ratificado por el parlamento de Bangladesh al poco tiempo, nunca ha sido ratificado por la India, por lo que los enclaves, después de casi tres siglos de existencia, continuan su pequeña y complicadísima Historia.
Para saber más:
Todas las fotos y mapas de esta entrada, además de gran parte de las historias de los enclaves, están sacadas del libro Waiting for the Esquimo, un estudio sistemático de la Historia y situación de los enclaves de Cooch Behar, del sociólogo australiano Brendan Whyte. El libro (de más de quinientas páginas) se puede descargar en formato PDF desde este enlace, pero pesa casi quince megas. Las historias se encuentran a partir de la página 160.
Un resumen de la situación de los enclaves se puede encontrar en el libro del investigador ruso Evgeny Vinokurov, Theory of enclaves, en el que está basado gran parte del texto de la primera parte de esta entrada. El libro completo, de 212 páginas, se puede descargar en PDF desde este enlace. La historia de Cooch Behar se encuentra en el capítulo 6.
También se habla sobre el tema en las actas de un seminario indio de 2002 sobre las fronteras, y específicamente en el artículo The nowhere people, de Urvasi Butalia.
La idea de estas dos entradas fue tomada de Strange Maps. El mapa lo encontramos ambos en el Geosite de Jan Krogh. Se pueden encontrar otros mapas en exclave.info.
Descubre más desde Fronteras
Suscríbete y recibe las últimas entradas en tu correo electrónico.




Me parece difícilmente superable este post. Vas a tener que rizar mucho el rizo en el siguiente.
Si a alguien le apetece una lectura entretenida sobre cómo se fraguó la independencia de India y Pakistán, y por tanto sus fronteras, recomiendo «Esta noche la libertad», de Dominique Lapierre.
Me gustaMe gusta
Me quito el sombrero yo también ante este post. Me ha parecido interesantísimo, además de ser un aspecto que desconocía completamente de la historia de ambos países, en los que he tenido la oportunidad de parar durante algunas temporadas.
La verdad, si ya son duras las condiciones de vida en esa región del mundo, como para que encima se las compliquen a la gente con fronteras absurdas y ficticias.
Y me sumo, asimismo, a la recomendación que hace Muskarditz del excelente libro de Lapierre sobre la independencia de India y Pakistán en 1947.
Un abrazo.
Me gustaMe gusta
Muy buena la entrada.
Otro blog que te va a molar:
http://strangemaps.wordpress.com/
Me gustaMe gusta
HdC, tú no te has leído el post, mamón 😀
La idea de este post y el anterior (y varios más que vendrán) está sacada precisamente de allí, y lo tengo enlazado en la barra lateral…
Me gustaMe gusta
Ep, vale, me has pillao 😦 Pensé que te iba a gustar y no quería hacer spam porque sí. Pero ya mismo me lo leo. Es lo que tiene tener el foro chapao.
Me gustaMe gusta
Coñes, es que ha sido verlo y pensar: esto para Diego.
Me gustaMe gusta
Hala, como compensación:
http://blogs.elcorreodigital.com/magonia/2008/1/31/el-triangulo-las-bermudas-automovilistico-del-empire-state
Me gustaMe gusta
Lo del foro, ¿tiene solución? ¿Se sabe algo, dostó?
Me gustaMe gusta
Cuando nace un crío allá, le dicen a la madre, «Felicidades, ha tenido usted un contrabandista.»
Me gustaMe gusta
Excelente, es para dar dolor de cabeza. Es realmente exagerado pero debe haber razones para que existan lugares como estos. Te leo desde hace algunas semanas, espero que sigas dando este tipo de entradas, por aqui estaré dando mi opinión.
Saludos desde México.
Me gustaMe gusta
Encantado, Arth. Un saludo desde Barcelona.
Me gustaMe gusta
realmente ignoraba la existancia de estas entidades tan pequeñas en el mundo. por supuesto la realidad religiosa, continua dificultando el desarrollo de la veda de millones de personas en esta parte del mundo, lo que para nosotros resulta inadmisible. pero es la realidad de esa region. realmente es un trabaja super interesante que debemos profundizar, para comprenderlo
Me gustaMe gusta
nerczzzzzzzzzzzzzzzzzzzzzzzzzzzz…….!!!!
madurennnnnnn..!!!! plizz hehehehe xD
Me gustaMe gusta
my home is with in one kilometer of a Indo-Bangladesh enclave near Berubari. I also go through the books written by Brendan Whyte & Evgeny Vinokurov’s Theory of enclaves and also the paper written by William van Shendel. their works are interesting. As a local inhabitant I know the others very interesting fact and feature of the land and the people.
Me gustaMe gusta
Wow, este blog es sublime, esta entrada lo es aún más, me quito el sombrero.
No van a faltar los países que quieran romper a propósito el récord del meta-meta-enclave.
Encontré en un post en otro blog algo curioso, parecido a esto, la isla dentro de un lago dentro de una isla dentro de un lago dentro de una isla más grande del mundo, como se han de imaginar, no supera los metros cuadrados, para entenderlo mejor, la cosa es así: la isla es Luzón, Filipinas, esa isla tiene un lago, en ese lago hay un volcán, cuyo cráter a su vez es un lago, dentro del cual hay una pequeña saliente de tierra.
Para encontrar datos así se debe ser lo que en Paraguay llamamos «tekoreí», en castellano es algo así como la persona que no tiene nada que hacer y pierde el tiempo en sandeces, es algo así como «divagante».
Me gustaMe gusta
Pasaba de casualidad por acá para decirles la (tal vez, triste para Diego) noticia de que han llegado a un arreglo y ya están simplificando la frontera y deshaciéndose mutuamente de los enclaves:
https://en.wikipedia.org/wiki/India%E2%80%93Bangladesh_enclaves
Me gustaMe gusta